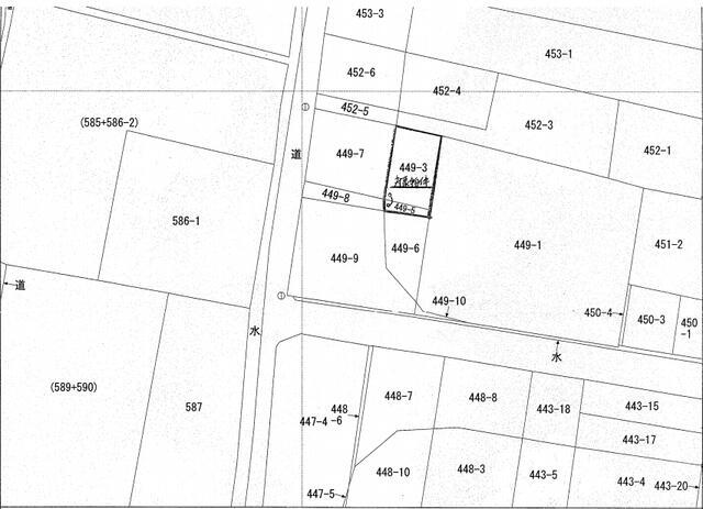
高松市仏生山町甲(仏生山駅)住宅用地物件画像数13周辺画像数8動画数0600万円坪単価:5.48万円/坪土地面積362㎡坪数109.5坪私道負担面積36㎡ 共有持分 1/1土地権利所有権引渡条件現況渡し最適用途住宅用地建ぺい率60%容積率200%所在地高松市仏生山町甲交通琴電琴平線 仏生山駅 徒歩9分不動産会社:アルモンデ高松琴平電鉄琴平線 / 仏生山 徒歩 10分高松市の門前町仏生山にある、「いまここにあるもの」を大切にしている不動産屋です詳細を見るとりあえず保存お問合せ(無料)
高松市国分寺町国分(国分駅)その他用地物件画像数1周辺画像数0動画数0160万円坪単価:4.07万円/坪土地面積130㎡坪数39.32坪私道負担面積土地権利所有権引渡条件現況渡し最適用途その他用地建ぺい率60%容積率100%所在地高松市国分寺町国分交通JR予讃線 国分駅 徒歩8分不動産会社:桜不動産(株)大阪メトロ谷町線 / 谷町四丁目 徒歩 3分詳細を見るとりあえず保存お問合せ(無料)
高松市塩江町安原上東(穴吹駅)その他用地物件画像数1周辺画像数0動画数0230万円坪単価:2.53万円/坪土地面積301㎡坪数91.05坪私道負担面積土地権利所有権引渡条件現況渡し最適用途その他用地建ぺい率70%容積率200%所在地高松市塩江町安原上東交通よしの川ブルーライン 穴吹駅 徒歩366分不動産会社:桜不動産(株)大阪メトロ谷町線 / 谷町四丁目 徒歩 3分詳細を見るとりあえず保存お問合せ(無料)
高松市三谷町(仏生山駅)その他用地物件画像数1周辺画像数0動画数0290万円坪単価:2.74万円/坪土地面積351㎡坪数106.17坪私道負担面積土地権利所有権引渡条件現況渡し最適用途その他用地建ぺい率60%容積率100%所在地高松市三谷町交通琴電琴平線 仏生山駅 徒歩41分不動産会社:桜不動産(株)大阪メトロ谷町線 / 谷町四丁目 徒歩 3分詳細を見るとりあえず保存お問合せ(無料)
高松市香南町西庄(挿頭丘駅)その他用地物件画像数1周辺画像数0動画数0220万円坪単価:2.38万円/坪土地面積306㎡坪数92.56坪私道負担面積土地権利所有権引渡条件現況渡し最適用途その他用地建ぺい率70%容積率200%所在地高松市香南町西庄交通琴電琴平線 挿頭丘駅 徒歩54分不動産会社:桜不動産(株)大阪メトロ谷町線 / 谷町四丁目 徒歩 3分詳細を見るとりあえず保存お問合せ(無料)
高松市塩江町安原上東(穴吹駅)その他用地物件画像数1周辺画像数0動画数0240万円坪単価:2.48万円/坪土地面積321㎡坪数97.1坪私道負担面積土地権利所有権引渡条件現況渡し最適用途その他用地建ぺい率70%容積率100%所在地高松市塩江町安原上東交通よしの川ブルーライン 穴吹駅 徒歩366分不動産会社:桜不動産(株)大阪メトロ谷町線 / 谷町四丁目 徒歩 3分詳細を見るとりあえず保存お問合せ(無料)
高松市国分寺町国分(国分駅)その他用地物件画像数1周辺画像数0動画数0210万円坪単価:3.88万円/坪土地面積179㎡坪数54.14坪私道負担面積土地権利所有権引渡条件現況渡し最適用途その他用地建ぺい率60%容積率100%所在地高松市国分寺町国分交通JR予讃線 国分駅 徒歩27分不動産会社:桜不動産(株)大阪メトロ谷町線 / 谷町四丁目 徒歩 3分詳細を見るとりあえず保存お問合せ(無料)
高松市庵治町(八栗駅)その他用地物件画像数21周辺画像数0動画数0220万円坪単価:2.28万円/坪土地面積320㎡坪数96.79坪私道負担面積土地権利所有権引渡条件現況渡し最適用途その他用地建ぺい率70%容積率200%所在地高松市庵治町交通琴電志度線 八栗駅 徒歩108分不動産会社:桜不動産(株)大阪メトロ谷町線 / 谷町四丁目 徒歩 3分詳細を見るとりあえず保存お問合せ(無料)
高松市庵治町松尾(八栗駅)住宅用地物件画像数5周辺画像数0動画数0400万円坪単価:2.92万円/坪土地面積453㎡坪数137.03坪私道負担面積土地権利所有権引渡条件現況渡し最適用途住宅用地建ぺい率容積率所在地高松市庵治町松尾交通琴電志度線 八栗駅 徒歩74分不動産会社:(同)NexTateJR高徳線 / 八栗口 徒歩 1分日本初!物件提案をしない不動産屋!!詳細を見るとりあえず保存お問合せ(無料)
高松市三谷町(仏生山駅)住宅用地物件画像数6周辺画像数8動画数0928万円坪単価:12.99万円/坪土地面積236.25㎡坪数71.46坪私道負担面積なし土地権利所有権引渡条件更地渡し最適用途住宅用地建ぺい率60%容積率100%所在地高松市三谷町交通琴電琴平線 仏生山駅 徒歩25分不動産会社:アルモンデ高松琴平電鉄琴平線 / 仏生山 徒歩 10分高松市の門前町仏生山にある、「いまここにあるもの」を大切にしている不動産屋です詳細を見るとりあえず保存お問合せ(無料)
高松市牟礼町牟礼(八栗駅)住宅用地物件画像数4周辺画像数0動画数01,000万円坪単価:8.76万円/坪土地面積377.65㎡坪数114.23坪私道負担面積土地権利所有権引渡条件相談最適用途住宅用地建ぺい率60%容積率200%所在地高松市牟礼町牟礼交通琴電志度線 八栗駅 徒歩16分不動産会社:(同)NexTateJR高徳線 / 八栗口 徒歩 1分日本初!物件提案をしない不動産屋!!詳細を見るとりあえず保存お問合せ(無料)
高松市牟礼町牟礼(八栗駅)住宅用地物件画像数7周辺画像数0動画数0600万円坪単価:4.05万円/坪土地面積489.9㎡坪数148.19坪私道負担面積なし土地権利所有権引渡条件現況渡し最適用途住宅用地建ぺい率60%容積率200%所在地高松市牟礼町牟礼交通琴電志度線 八栗駅 徒歩18分琴電志度線 六万寺駅 徒歩20分JR高徳線 古高松南駅 徒歩28分不動産会社:(同)NexTateJR高徳線 / 八栗口 徒歩 1分日本初!物件提案をしない不動産屋!!詳細を見るとりあえず保存お問合せ(無料)
高松市国分寺町国分(国分駅)住宅用地物件画像数8周辺画像数7動画数0300万円坪単価:5.46万円/坪土地面積181.79㎡坪数54.99坪私道負担面積なし土地権利所有権引渡条件現況渡し最適用途住宅用地建ぺい率60%容積率100%所在地高松市国分寺町国分交通JR予讃線 国分駅 徒歩23分不動産会社:アルモンデ高松琴平電鉄琴平線 / 仏生山 徒歩 10分高松市の門前町仏生山にある、「いまここにあるもの」を大切にしている不動産屋です詳細を見るとりあえず保存お問合せ(無料)
高松市牟礼町牟礼(古高松南駅)資材置場用地物件画像数3周辺画像数0動画数0220万円坪単価:1.21万円/坪土地面積606㎡坪数183.31坪私道負担面積土地権利所有権引渡条件現況渡し最適用途資材置場用地建ぺい率50%容積率80%所在地高松市牟礼町牟礼交通JR高徳線 古高松南駅 徒歩7分琴電志度線 八栗駅 徒歩12分琴電志度線 六万寺駅 徒歩17分不動産会社:(同)NexTateJR高徳線 / 八栗口 徒歩 1分日本初!物件提案をしない不動産屋!!詳細を見るとりあえず保存お問合せ(無料)
高松市庵治町(八栗駅)住宅用地物件画像数4周辺画像数0動画数0424万円坪単価:7.98万円/坪土地面積175.73㎡坪数53.15坪私道負担面積土地権利所有権引渡条件現況渡し最適用途住宅用地建ぺい率容積率所在地高松市庵治町交通琴電志度線 八栗駅 徒歩96分不動産会社:(同)NexTateJR高徳線 / 八栗口 徒歩 1分日本初!物件提案をしない不動産屋!!詳細を見るとりあえず保存お問合せ(無料)
高松市牟礼町牟礼(八栗口駅)住宅用地物件画像数2周辺画像数0動画数0700万円坪単価:6.15万円/坪土地面積376.47㎡坪数113.88坪私道負担面積土地権利所有権引渡条件相談最適用途住宅用地建ぺい率60%容積率200%所在地高松市牟礼町牟礼交通JR高徳線 八栗口駅 徒歩7分琴電志度線 六万寺駅 徒歩12分琴電志度線 大町駅 徒歩11分不動産会社:(同)NexTateJR高徳線 / 八栗口 徒歩 1分日本初!物件提案をしない不動産屋!!詳細を見るとりあえず保存お問合せ(無料)
高松市牟礼町牟礼(大町駅)事業用地物件画像数3周辺画像数0動画数02,300万円坪単価:1.81万円/坪土地面積4215㎡坪数1275.03坪私道負担面積土地権利所有権引渡条件相談最適用途事業用地建ぺい率60%容積率200%所在地高松市牟礼町牟礼交通琴電志度線 大町駅 徒歩8分JR高徳線 八栗口駅 徒歩13分琴電志度線 八栗新道駅 徒歩15分不動産会社:(同)NexTateJR高徳線 / 八栗口 徒歩 1分日本初!物件提案をしない不動産屋!!詳細を見るとりあえず保存お問合せ(無料)
高松市牟礼町原(原駅)住宅用地物件画像数8周辺画像数0動画数0525万円坪単価:8.99万円/坪土地面積193.15㎡坪数58.42坪私道負担面積なし土地権利所有権引渡条件相談最適用途住宅用地建ぺい率60%容積率80%所在地高松市牟礼町原交通琴電志度線 原駅 徒歩9分琴電志度線 琴電志度駅 徒歩21分JR高徳線 志度駅 徒歩23分不動産会社:(同)NexTateJR高徳線 / 八栗口 徒歩 1分日本初!物件提案をしない不動産屋!!詳細を見るとりあえず保存お問合せ(無料)
高松市牟礼町大町(大町駅)住宅用地物件画像数6周辺画像数0動画数0850万円坪単価:9.25万円/坪土地面積304.07㎡坪数91.98坪私道負担面積土地権利所有権引渡条件更地渡し最適用途住宅用地建ぺい率50%容積率80%所在地高松市牟礼町大町交通琴電志度線 大町駅 徒歩9分JR高徳線 八栗口駅 徒歩11分琴電志度線 六万寺駅 徒歩18分不動産会社:(同)NexTateJR高徳線 / 八栗口 徒歩 1分日本初!物件提案をしない不動産屋!!詳細を見るとりあえず保存お問合せ(無料)
高松市牟礼町原(原駅)住宅用地物件画像数4周辺画像数0動画数0380万円坪単価:6.11万円/坪土地面積205.8㎡坪数62.25坪私道負担面積土地権利所有権引渡条件現況渡し最適用途住宅用地建ぺい率50%容積率80%所在地高松市牟礼町原交通琴電志度線 原駅 徒歩9分琴電志度線 琴電志度駅 徒歩21分JR高徳線 志度駅 徒歩23分不動産会社:(同)NexTateJR高徳線 / 八栗口 徒歩 1分日本初!物件提案をしない不動産屋!!詳細を見るとりあえず保存お問合せ(無料)