高松市牟礼町牟礼(古高松南駅)資材置場用地印刷する
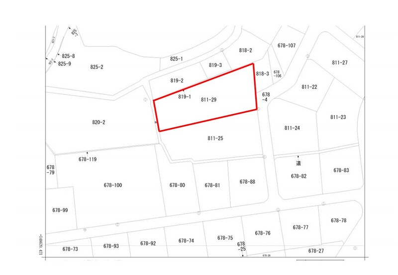
おすすめポイント◆183坪の敷地面積◆資材置き場としておすすめです
250万円 坪単価:1.37万円/坪 | 土地面積606㎡ 坪数183.31坪 私道負担面積 |
土地権利所有権 引渡条件現況渡し 最適用途資材置場用地 | 建ぺい率50% 容積率80% |
所在地高松市牟礼町牟礼 | |
交通
| |
おすすめポイント◆183坪の敷地面積◆資材置き場としておすすめです
250万円 坪単価:1.37万円/坪 | 土地面積606㎡ 坪数183.31坪 私道負担面積 |
土地権利所有権 引渡条件現況渡し 最適用途資材置場用地 | 建ぺい率50% 容積率80% |
所在地高松市牟礼町牟礼 | |
交通
| |
JR高徳線 古高松南駅 徒歩7分
琴電志度線 八栗駅 徒歩12分
琴電志度線 六万寺駅 徒歩17分
※地図上に表示される家マークのアイコンは付近住所に所在することを表すものであり、実際の物件所在地とは異なる場合がございます。必ず不動産会社におたずねください。
取引態様:一般媒介
香川県知事免許(2) 第0004503号
所属協会:(公社)全日本不動産協会
公正取引協議会:不動産公正取引協議会
日本初!物件提案をしない不動産屋!!
スマートフォンで
この不動産会社の情報を
ご覧になれます
※携帯電話ではご覧いただけません。
おすすめポイント◆183坪の敷地面積◆資材置き場としておすすめです
1 / 3
JR高徳線 古高松南駅 徒歩7分
琴電志度線 八栗駅 徒歩12分
琴電志度線 六万寺駅 徒歩17分
(087-880-6722)