スウェーデンハウス 群馬県邑楽郡板倉町朝日野2丁目印刷する
おすすめポイント
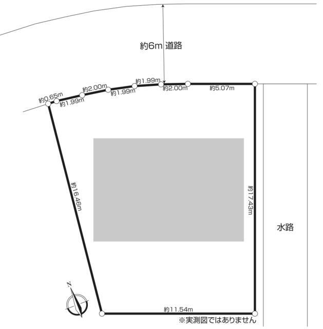
2,100万円 | 土地面積235.08㎡ 私道負担面積 土地権利所有権 |
間取3SLDK 建物面積壁芯 130.62㎡ 構造木造 | 物件種目戸建住宅 築年月2001年3月(築24年10ヶ月) |
所在地邑楽郡板倉町朝日野2丁目 | |
交通
| |
おすすめポイント
2,100万円 | 土地面積235.08㎡ 私道負担面積 土地権利所有権 |
間取3SLDK 建物面積壁芯 130.62㎡ 構造木造 | 物件種目戸建住宅 築年月2001年3月(築24年10ヶ月) |
所在地邑楽郡板倉町朝日野2丁目 | |
交通
| |
東武日光線 板倉東洋大前駅 徒歩5分
※地図上に表示される家マークのアイコンは付近住所に所在することを表すものであり、実際の物件所在地とは異なる場合がございます。必ず不動産会社におたずねください。
取引態様:専任媒介
東京都知事免許(6) 第0074303号
所属協会:(公社)全日本不動産協会
公正取引協議会:不動産公正取引協議会
スマートフォンで
この不動産会社の情報を
ご覧になれます
※携帯電話ではご覧いただけません。
東武日光線 板倉東洋大前駅 徒歩5分
(0120-899-123)