津山市二宮 店舗用地印刷する
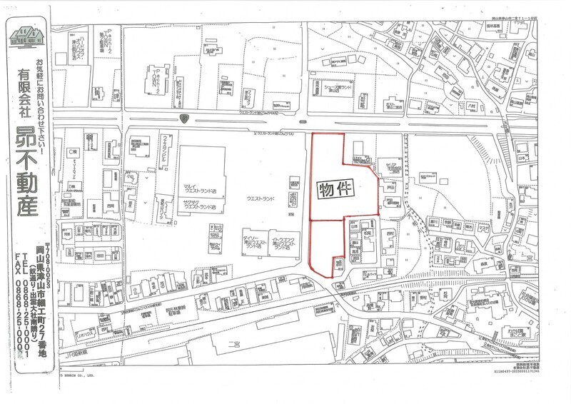
おすすめポイントウエストランド横の広い土地です。店舗用地にいかがでしょうか。①のみでも、①と②を合わせてでも、お貸しします。
132万円 | 敷金3ヶ月 礼金なし 保証金なし |
土地面積5415.99㎡ 坪数1638.32坪 坪単価0.08万円/坪/坪 | 建ぺい率80% 最適用途店舗用地 容積率200% |
所在地津山市二宮 | |
| 交通 | |
おすすめポイントウエストランド横の広い土地です。店舗用地にいかがでしょうか。①のみでも、①と②を合わせてでも、お貸しします。
132万円 | 敷金3ヶ月 礼金なし 保証金なし |
土地面積5415.99㎡ 坪数1638.32坪 坪単価0.08万円/坪/坪 | 建ぺい率80% 最適用途店舗用地 容積率200% |
所在地津山市二宮 | |
| 交通 | |
※地図上に表示される家マークのアイコンは付近住所に所在することを表すものであり、実際の物件所在地とは異なる場合がございます。必ず不動産会社におたずねください。

取引態様:一般媒介
岡山県知事免許(9) 第0003250号
所属協会:(公社)全日本不動産協会
公正取引協議会:不動産公正取引協議会
宅地~事業用物件、賃貸物件のことまでお気軽にご相談下さい。
スマートフォンで
この不動産会社の情報を
ご覧になれます
※携帯電話ではご覧いただけません。
おすすめポイントウエストランド横の広い土地です。店舗用地にいかがでしょうか。①のみでも、①と②を合わせてでも、お貸しします。
1 / 16
(0868-25-0001)