津山市二宮 店舗用地

広域地図

現地

地図(①②)

空撮

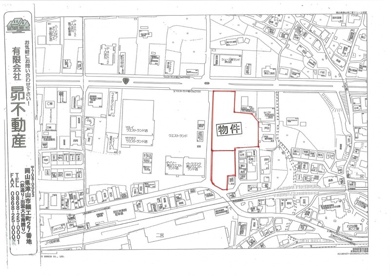
狭域地図

現地

現況

現況

現況と周辺道路

周辺

現況と周辺道路

周辺

周辺

現況と周辺道路

現況と周辺道路

地図

広域地図

現地
- 賃料
- 182.8万円
- 管理費等
- 敷金 / 保証金
- 3ヶ月 / なし
- 礼金
- なし
- 土地面積
- 7514.99㎡
- 坪数
- 2273.27坪
- 坪単価
- 0.08万円/坪
- 私道負担面積
- 最適用途
- 店舗用地
- 建ぺい率
- 80%
- 容積率
- 200%
- 接道状況
- 都市計画
- 非線引
- 用途地域
- 小学校
- 向陽小学校(距離:518m)
- 中学校
- 津山西中学校(距離:1357m)
- 地勢
- 平坦
- 地目
- 宅地
- セットバック
- 設備
- 排水下水 上水道
- 備考
- ウエストランド横の広い土地です。店舗用地にいかがでしょうか?
①②分割でお貸しする事も可能です。①5415.99㎡(1638坪)132万円/月 ②2099㎡(634坪) 50.8万円/月
◆期間10年~30年(定借可能)
◆スーパー、ドラッグストアは不可。
◆土地は分割可能ですのでご相談ください。
◆敷金等の初期費用は業種により要相談。
- 契約期間
- 10年間
- 引渡可能時期
- 即時
- 現況
- 更地
- 条件等
- 更新料
- 物件番号
- 61469026
- 情報公開日
- 2024/06/25
- 次回更新予定日
- 2026/04/18
この物件の周辺環境
- ウエストランド
- 向陽小学校
- 津山西中学校
- 大阪王将 院庄店
- マクドナルド 津山二宮店
- ナンバ 院庄店
- ニトリ津山店
- 中国銀行院庄支店
- 二宮郵便局
- 津山第一病院
情報提供会社
- 交通
- 津山線 / 津山 徒歩 15分
- 住所
- 〒708-0053 岡山県津山市細工町27
- TEL
- 0868-25-0001
- FAX
- 0868-25-0002
- 取引態様
- 一般媒介
- 免許番号
- 岡山県知事免許(9) 第0003250号
- 所属協会
- (公社)全日本不動産協会
- 公正取引協議会
- 不動産公正取引協議会
賃貸住宅を借りるなら、物件検索サイト「ラビーネット不動産」で。賃貸マンション・賃貸アパート・賃貸一戸建ての物件情報を住みたいエリア/沿線・駅から検索し、賃料/間取り/駅からの徒歩といった希望条件で絞り込むことができます。このほか、物件の探し方から契約、引越、入居時の手続まで、お部屋探しに役立つ情報が満載。このサイトは全国組織の業界団体である公益社団法人全日本不動産協会が運営する不動産情報サイトのため、安心して物件をお探しいただけます。住まい探しのことならラビーネット不動産にお任せください!