NEW
燕市佐渡(燕三条駅)住宅用地印刷するおすすめポイント
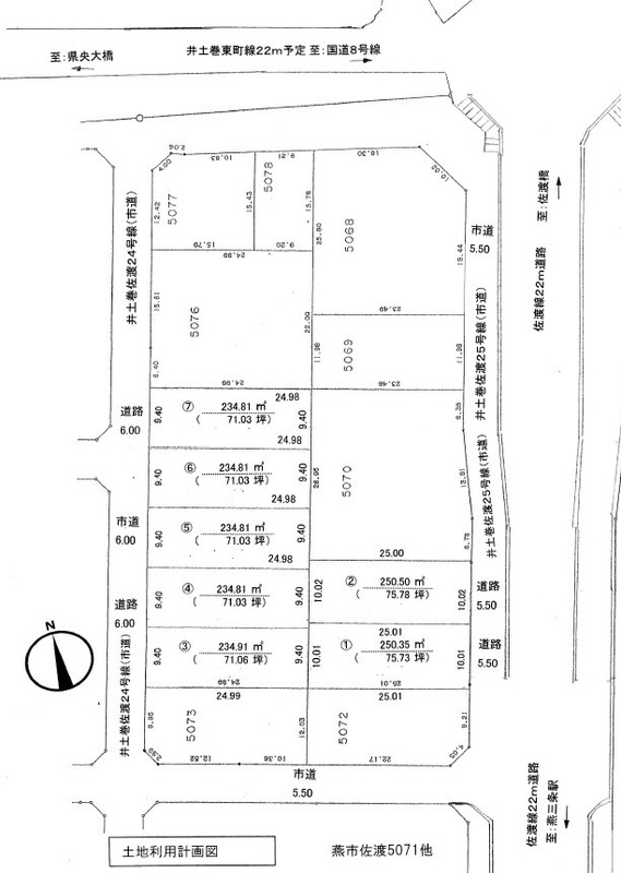
603万円 坪単価:8.5万円/坪 | 土地面積234.81㎡ 坪数71.02坪 私道負担面積なし |
土地権利所有権 引渡条件相談 最適用途住宅用地 | 建ぺい率60% 容積率200% |
所在地燕市佐渡 | |
交通
| |
NEW
燕市佐渡(燕三条駅)住宅用地印刷するおすすめポイント
603万円 坪単価:8.5万円/坪 | 土地面積234.81㎡ 坪数71.02坪 私道負担面積なし |
土地権利所有権 引渡条件相談 最適用途住宅用地 | 建ぺい率60% 容積率200% |
所在地燕市佐渡 | |
交通
| |
上越新幹線 燕三条駅 徒歩16分
※地図上に表示される家マークのアイコンは付近住所に所在することを表すものであり、実際の物件所在地とは異なる場合がございます。必ず不動産会社におたずねください。
取引態様:売主
新潟県知事免許(6) 第0004346号
所属協会:(公社)全日本不動産協会
公正取引協議会:不動産公正取引協議会
新潟県、燕市・三条市・新潟市・長岡市・弥彦村の不動産は、当社におまかせください。
スマートフォンで
この不動産会社の情報を
ご覧になれます
※携帯電話ではご覧いただけません。
1 / 20
上越新幹線 燕三条駅 徒歩16分
(0256-61-6070)