名護市字済井出 住宅用地印刷する
おすすめポイント名護市屋我地済井出約75坪、済井出漁港近く、住宅、別荘、民泊に!古宇利大橋・コウリオーシャンタワー・美ら海水族館・ジャングリア開業予定地まですぐ!
1,400万円 坪単価:18.67万円/坪 | 土地面積247.93㎡ 坪数75坪 私道負担面積なし |
土地権利所有権 引渡条件現況渡し 最適用途住宅用地 | 建ぺい率60% 容積率200% |
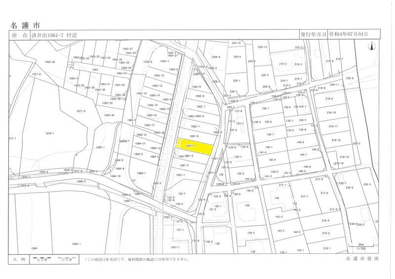
所在地名護市字済井出 | |
| 交通 | |
おすすめポイント名護市屋我地済井出約75坪、済井出漁港近く、住宅、別荘、民泊に!古宇利大橋・コウリオーシャンタワー・美ら海水族館・ジャングリア開業予定地まですぐ!
1,400万円 坪単価:18.67万円/坪 | 土地面積247.93㎡ 坪数75坪 私道負担面積なし |
土地権利所有権 引渡条件現況渡し 最適用途住宅用地 | 建ぺい率60% 容積率200% |
所在地名護市字済井出 | |
| 交通 | |
※地図上に表示される家マークのアイコンは付近住所に所在することを表すものであり、実際の物件所在地とは異なる場合がございます。必ず不動産会社におたずねください。
取引態様:専任媒介
沖縄県知事免許(4) 第0003794号
所属協会:(公社)全日本不動産協会
公正取引協議会:不動産公正取引協議会
売買、賃貸、当社にお任せ下さい。
スマートフォンで
この不動産会社の情報を
ご覧になれます
※携帯電話ではご覧いただけません。
おすすめポイント名護市屋我地済井出約75坪、済井出漁港近く、住宅、別荘、民泊に!古宇利大橋・コウリオーシャンタワー・美ら海水族館・ジャングリア開業予定地まですぐ!
1 / 10
(098-896-1507)