(株)善しょう
不動産事務所
0234-23-0555
0234-28-9135
4
件中
1〜4件を表示
表示件数
20件
並び替え
価格が安い順
チェックした物件をまとめてお問合せ(無料)
| 物件名 所在地 交通・駅徒歩 | 価格 坪単価 | 建ぺい率 容積率 | 土地面積 坪数 私道負担面積 | 引渡条件 最適用途 | ||
東田川郡庄内町余目字大乗向(余目駅)住宅用地 東田川郡庄内町余目字大乗向 JR羽越本線 余目駅 徒歩4分 | 120万円 4.8万円/坪 | 60% 200% | 82.83㎡ 25.05坪 | 現況渡し 住宅用地 | ||
![]() | (株)善しょう | |||||
村山市大字大久保甲(村山駅)住宅用地 村山市大字大久保甲 山形線 村山駅 徒歩90分 | 500万円 1.41万円/坪 | 1172.4㎡ 354.64坪 | 現況渡し 住宅用地 | |||
![]() | (株)善しょう | |||||
東田川郡庄内町払田字村東(余目駅)住宅用地 東田川郡庄内町払田字村東 JR羽越本線 余目駅 徒歩12分 | 1,030万円 4.99万円/坪 | 70% 200% | 682.42㎡ 206.43坪 なし | 現況渡し 住宅用地 | ||
![]() | (株)善しょう | |||||
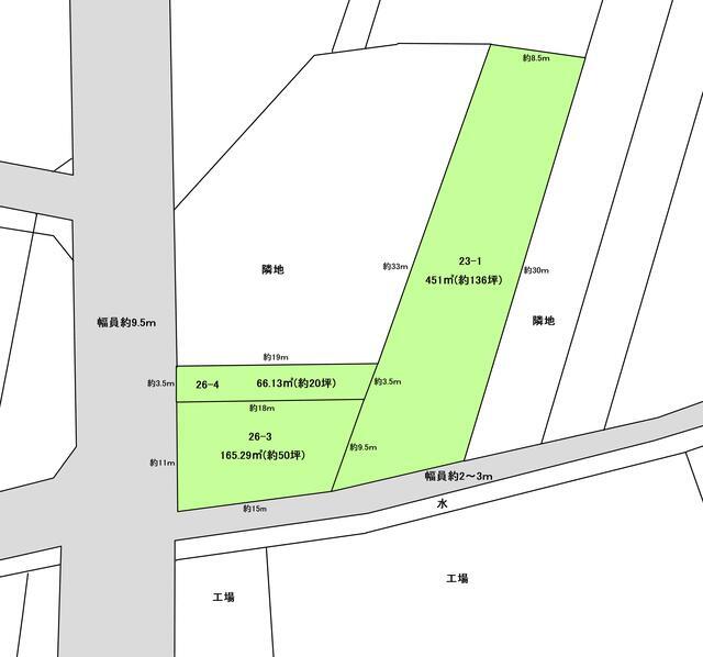
東田川郡庄内町余目字上猿田(余目駅)住宅用地 東田川郡庄内町余目字上猿田 JR羽越本線 余目駅 徒歩8分 | 1,150万円 5.74万円/坪 | 60% 200% | 662.32㎡ 200.35坪 なし | 更地渡し 住宅用地 | ||
![]() | (株)善しょう | |||||
チェックした物件をまとめてお問合せ(無料)
4
件中
1〜4件を表示
表示件数
20件
並び替え
価格が安い順
賃貸住宅を借りるなら、物件検索サイト「ラビーネット不動産」で。賃貸マンション・賃貸アパート・賃貸一戸建ての物件情報を住みたいエリア/沿線・駅から検索し、賃料/間取り/駅からの徒歩といった希望条件で絞り込むことができます。このほか、物件の探し方から契約、引越、入居時の手続まで、お部屋探しに役立つ情報が満載。このサイトは全国組織の業界団体である公益社団法人全日本不動産協会が運営する不動産情報サイトのため、安心して物件をお探しいただけます。住まい探しのことならラビーネット不動産にお任せください!



